1. 25호 태풍 갈매기 - 베트남 중남부 상륙(Final)

필리핀에 막대한 피해를 입힌 뒤 남중국해를 가로질러간 25호 태풍 갈매기는 한국 시간 기준으로 2025년 11월 6일 21시, 베트남 현지 시간 기준으로 19시 무렵 베트남 중남부 꾸이년 남쪽 해안선으로 상륙하였습니다.

상륙 직전 1분 평균 최대풍속이 시속 약 200km의 SSHS카테고리 4등급 수준까지 발달하였던 태풍 갈매기는 상륙 시점에는 이보다 조금 약화난 중심기압 960hPa, 1분 평균 최대풍속은 시속 약 185km(100노트)의 카테고리 3등급 태풍 상태로 상륙하였으며, 육지와의 마찰로 약화단계에 들어서겠으나 워낙 강력한 상태로 상륙을 하여 베트남-캄보디아-라오스 국경을 넘어설 무렵까지도 태풍(열대폭풍) 강도를 여전히 유지할 것으로 예상됩니다.
거기다 태풍 자체가 꽤 큰 사이즈이다 보니 상륙지점 인근인 나짱은 물론이고, 북쪽의 다낭, 남쪽의 호치민까지 모두 태풍의 직접 영향권에 들어가 있는 상태입니다.
한동안 홍수 피해가 지속되던 베트남 중부 일대에 이번 태풍으로 추가적인 폭풍우가 몰아치면서 피해가 누적되겠는데, 앞으로 12시간 동안이 이 베트남, 캄보디아, 라오스 3개국의 최대 고비가 되겠습니다.
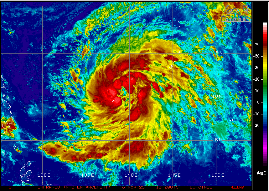
2. 26호 태풍 풍웡 - 급속발달(RI) 가능성 높음

미국 JTWC에서 TD 32W, 한국 기상청에서는 53호 열대저압부로 분류하던 열대저기압은 한국시간 기준으로 11월 6일 오전 3시에 26호 태풍 풍웡으로 발달하였습니다.
11월 6일 21시 현재 태풍 풍웡의 위치는 팔라우 국제공항에서 동북동쪽으로 약 640km가량 떨어진 해상인 10.2°N 139.6°E 인근 지점이며, 태풍의 중심기압은 995hPa, 1분 평균 최대풍속은 시속 약 75km(40노트)의 열대폭풍(TS)강도입니다.


아직은 갓 열대폭풍이 된 상태이지만 현재 이 태풍 풍웡의 형태와 주변 여건을 보면 상당히 빠른 속도로 강화할 가능성이 매우 높은 징후가 여럿 나타나고 있습니다.
일단 주변 해수면 온도가 31℃를 넘어서는 고수온 영역인데다 열용량도 상당히 높은 조건에 낮은 연직시어 분포, 그리고 태풍 중심부 바로 위에 자리잡기 시작한 상층 발산장으로 인한 상승기류의 활성화 조건은 모두 태풍이 급속발달(RI)하는 조건에 맞아떨어지는 상태입니다.
현재 모델마다 강도 예측의 차이는 있지만 대부분 모델에서의 강도 변화 예측은 하루에 Dvorak T값이 1 이상씩 증가하는 정신나간 수준의 발달속도를 보여줄 것으로 예측하고 있으며, 현재 JTWC의 공식 강도 예측은 필리핀 루손 상륙 직전인 11월 9일 밤 시간대에는 적어도 카테고리 4등급 태풍 강도에 해당하는 1분 평균 최대풍속 시속 약 215km(115노트) 수준까지 발달할 것으로 예상하고 있으며, 특히 11월 8일과 9일 사이 태풍의 이동속도에 가속이 붙으면서 이보다 더 빠른 중심 최대풍속이 나타날 가능성도 있습니다.

심지어 필리핀 기상당국(PAGASA)에서는 이 태풍이 자국 경보구역에 들어오기 전부터 내놓기 시작한 예보에서 11월 8일에서 9일 사이에 1분 평균 최대풍속이 시속 약 240km(130노트)를 넘어서는 슈퍼태풍(STY) 강도 이상의 발달까지 예상하고 있어 불과 며칠 전 25호 태풍 갈매기가 막대한 피해를 입힌 필리핀 중부 세부 일대에 이어 이번에는 필리핀 북부 루손 일대에 또 다른 태풍의 피해가 매우 강하게 발생할 가능성이 높습니다.
아직 태풍이 필리핀 책임구역인 동경 135도선 밖에 있는 상태지만, 이미 필리핀 기상당국에서는 루손 북부의 태풍 상륙 가능성을 경고하고 있는 만큼 11월 9일 에서 11일 사이 필리핀 루손쪽에 일정이 있으신 분들은 각별한 주의가 필요하겠습니다.(마닐라도 직간접 영향권 예상)
참고로 이 태풍이 필리핀 책임구역인 동경 135도선 서쪽으로 들어오면 필리핀 자체 명칭인 우완(UWAN)이라는 이름이 붙을 예정입니다.
이후 태풍의 경로는 꽤 유동적인 상태인데요, 현재 앙상블 예측에서는 중국 홍콩에서 대만 남부 방향 사이가 120시간 너머의 태풍 진출 가능 범위로 나타나고 있어, 루손 상륙 이후 경로도 유심히 살펴야 하겠습니다.
'태풍정보 > 2025년' 카테고리의 다른 글
| 92호 열대요란 발달 - 27호 태풍 고토 발생 가능성(2025.11.24. 15:00 기준) (0) | 2025.11.24 |
|---|---|
| 26호 태풍 풍웡 진로 정보 - 루손 관통 후 대만 방향으로 진행 예상(2025.11.09. 21:00 기준) (0) | 2025.11.09 |
| 25호 태풍 갈매기 이동경로 및 26호 태풍 풍웡 발생 가능성(2025.11.04. 21:00 기준) (0) | 2025.11.05 |
| 25호 태풍 갈매기 정보(2025.11.02. 15:00 기준) (0) | 2025.11.02 |
| 24호 태풍 펑선 정보와 25호 태풍 갈매기 발생 가능성?(2025.10.22. 21:00 기준) (1) | 2025.10.22 |
댓글